市場情報

今朝の入荷は、順調です。
主なものは、マダイ、チヌ、ヒラメ、ゲタ、メイタ、キス、メバル類、オコゼ、
コチゴ、小フグ、シマゲタ、ニベ、アナゴ、ハモ、マダコ、イイダコ、小イカ、
ベイカ、小エビ、クルマエビ、モエビ、ワタリガニ、ニシ貝等です。
養殖のオリーブハマチも出ています。
こちらは、仲買からの注文品です。
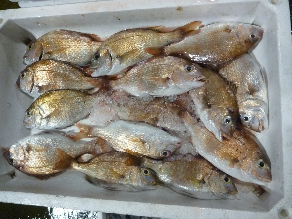
鍋わりヂヌ

今頃のチヌを、庵治では、鍋わりヂヌと呼んでいます。
美味しい魚の代名詞です。
今頃のチヌは、よく太っていて、脂ものっています。
鍋わりヂヌの呼称は、煮つけにすると鍋が割れるほどに、身がはじけることからと
云われています。
チヌは、刺身、しおやき、煮付け、チヌ飯等にして美味です。
今が旬のチヌ、値段も手頃ですので、見かけたらご賞味ください。
チヌの塩焼き(香川の水産業 香川の魚より)
