このブラウザは、JavaScript が無効になっています。JavaScriptを有効にして再度、お越しください。
新規登録
ログイン
ログイン
ログインID
パスワード
パスワード再発行
検索
カウンタ
COUNTER
メニュー
トップページ
庵治漁協概要
庵治漁協の歴史
組合長挨拶
あじまる通信
庵治の主な漁業
庵治の主な養殖
養殖履歴
活き活き日曜市
リンク
庵治漁協Blog
庵治漁協Blog
携帯からはこちら
あじまる通信Blog
あじまる通信Blog
>> 記事詳細
< 前の記事へ
次の記事へ >
2012/10/10
市場情報
| by
あじまる
市場情報
今朝の市場への入荷は、順調です。
主なものは、マダイ、チヌ、ゲタ、メイタ、メバル類、キス、ベロコ、
タナゴ、マルハギ、オコゼ、ヒラメ、イシガレイ、コチゴ、小フグ、
シマゲタ、ニベ、アナゴ、ハモ、マダコ、イイダコ、小イカ、ベイカ、
小エビ、モエビ、クルマエビ、ワタリガニ、ニシ貝等です。
オリーブハマチもあります。
オリーブハマチのキャンペーン販売
県内の魚屋や量販店等で、10月12日にはオリーブハマチのキャンペーン販売が予定されているようです。
この日は、販売価格もやすくなりそうです。
オリーブハマチをご賞味ください。
>>続きを読む
今朝の市場に出ている主な魚
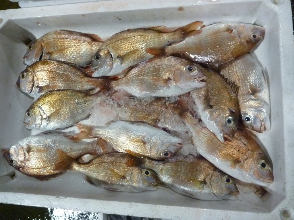
マダイ
チヌ
ヒラメ
イシガレイ
ゲタ
メイタ
マルハギ
イボダイ
ベロコ
イイダコ
小イカ
小エビ
モエビ
クルマエビ
ワタリガニ
続きを隠す<<
05:51 |
漁業
< 前の記事へ
次の記事へ >
一覧へ戻る
Powered by NetCommons2
The NetCommons Project