このブラウザは、JavaScript が無効になっています。JavaScriptを有効にして再度、お越しください。
新規登録
ログイン
ログイン
ログインID
パスワード
パスワード再発行
検索
カウンタ
COUNTER
メニュー
トップページ
庵治漁協概要
庵治漁協の歴史
組合長挨拶
あじまる通信
庵治の主な漁業
庵治の主な養殖
養殖履歴
活き活き日曜市
リンク
庵治漁協Blog
庵治漁協Blog
携帯からはこちら
あじまる通信Blog
あじまる通信Blog
>> 記事詳細
< 前の記事へ
次の記事へ >
2012/12/27
12月も下旬になればハギもウマズラハギ
| by
あじまる
市場情報
今朝の市場への入荷は、順調です。
主なものは、メイタ、タイゴ、タチウオ、チヌ、ゲタ、ハギ、メバル類、キス、オコゼ、
アナゴ、イイダコ、ハリイカ、ベイカ、小エビ、クルマエビ、ワタリガニ、
タチガイ、ニシ貝、サザエ、ナマコ等です。
オリーブハマチもあります。
ウマズラハギ
12月も下旬になってからは、ハギも漁獲の中心は、マルハギからウマズラハギに換わってきます。
今年は水温低下が早いので、低水温に弱いマルハギは、いち早く外海へ出てしまい、
遅れて、ウマズラハギが漁獲されます。
ウマズラハギは、煮つけ、味噌汁、水炊きにして、
また、大きいものは、刺身にしても美味です。
見かけたらご賞味ください。
ウマズラハギの煮つけ(香川の水産業 香川の魚より)
>>続きを読む
今朝の市場に出ている主な魚
タチウオ
タイゴ
メイタ
ゲタ
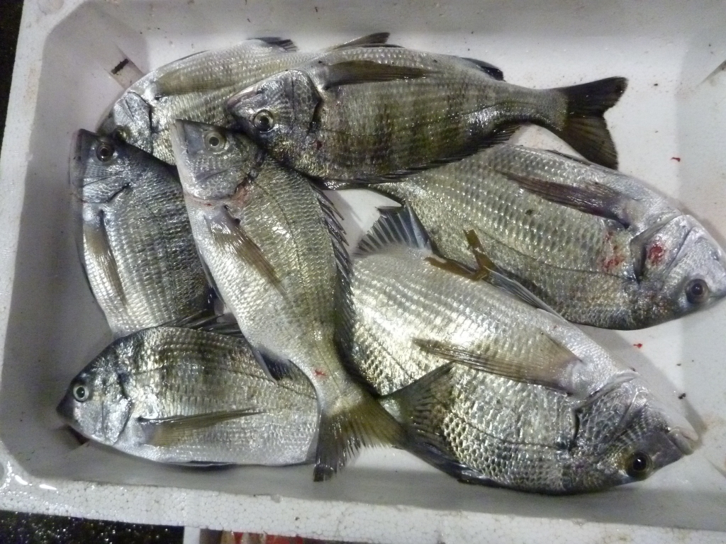
チヌ
赤メバル
アナゴ
イイダコ
タチガイ
サザエ
赤ナマコ
青ナマコ
続きを隠す<<
05:55 |
漁業
< 前の記事へ
次の記事へ >
一覧へ戻る
Powered by NetCommons2
The NetCommons Project